[Accueil www.laissey.com]
Ses mines de fer
 
Laissey possède en son sol une richesse insoupçonnée : l'un des plus importants bassins miniers ferrifères de Franche-Comté ! Le village connut une forte activité d'extraction de minerai durant tout le XIXème siècle. L'engouement était tel et les experts si enthousiastes que certains projets un peu fous, comme l'établissement d'un haut fourneau, furent évoqués.

A tel point que l'on se demande bien pourquoi le village ne fut pas rebaptisé Laissey-les-Mines !


L'accès aux mines de fer est strictement interdit. Outre les dangers éventuels dus à l'absence d'entretien des galeries, l'arrêté préfectoral de protection de biotope DADUE/4B/n° 5024 du 13 octobre 1988 proscrit toutes actions ou tous travaux pouvant porter atteinte à la tranquillité et à la survie des nombreuses chauves-souris qui y ont trouvé refuge.
 
Les informations données dans cet article ne sont destinées qu'à apporter un éclairage historique sur cette période industrielle de Laissey.

Sommaire
Un peu d'histoire
Etonnamment, le travail du fer n'est que très récent dans notre civilisation. Ainsi, si l'âge du fer succède à l'âge du bronze vers 2650 avant Jésus-Christ en Afrique, ce n'est que vers -1100 qu'il débute dans le monde méditerranée, puis vers -800 dans le nord de l'Europe et bien plus tard en Asie, vers -500 en Chine et en Inde et seulement au IIème siècle après Jésus-Christ au Japon et au IIIème siècle en Mongolie.

[Un bas fourneau]
Un bas fourneau
primitif.
Cette relative proximité avec notre époque s'explique par la nécessité d'un savoir-faire plus grand que pour le bronze et notamment une meilleure maîtrise technique de l'art du feu pour atteindre des températures de 1 000 à 1 200 °C indispensables pour obtenir la liquéfaction du minerai de fer.

Au début du IIème millénaire avant Jésus-Christ, l'invention du bas fourneau au bois par les peuplades de Syrie du Nord marque les véritables débuts de la métallurgie du fer, le minerai et les forêts étant présents en abondance dans la région des monts Taurus. Avant cette découverte, les Egyptiens utilisaient du fer météorique pour façonner des objets rituels ou guerriers. Mais, ce métal étant d'une très grande rareté à la surface de la Terre, ces pièces étaient réservées aux prêtres ou aux élites.

Cette nouvelle période de la protohistoire modernise considérablement les armes et les outils domestiques utilisés jusqu'alors. L'organisation sociale apparue avec l'âge du bronze se renforce avec la spécialisation de certains métiers (artisans, mineurs et forgerons) et l'apparition de zones géographiques dédiées aux activités métallurgiques (villages ou sites). Les échanges commerciaux à grandes distances se développent, mais également les convoitises et l'insécurité qui nécessitent la protection des gisements miniers et des voies commerciales.

Si l'Asie ne s'approprie que plus tardivement le travail du fer, elle rattrape bien vite son retard. Ainsi, les Chinois inventent et développent dès le Ier siècle de notre ère les hauts fourneaux au bois puis à la houille, nationalisant même cette industrie sous la dynastie Han.

L'Occident adopte ou réinvente cette technique de production au XIIème siècle en Scandinave, le transfert de la technologie chinoise n'ayant jamais été prouvé et ce malgré l'existence de la route de la soie. Cependant, le bas fourneau reste le procédé le plus utilisé durant le Moyen Âge en Europe et il faut attendre le XVème siècle et la mise au point des procédés d'affinage de la fonte (méthodes catalane, wallonne, comtoise et champenoise) pour que se généralisent les hauts fourneaux au bois, d'abord en Belgique, puis en France, en Allemagne et enfin en Angleterre.


Les termes bas ou haut ne désignent pas la hauteur physique du fourneau, mais sa technique de production : dans un bas fourneau, la coulée est obtenue par réduction directe, alors que dans un haut fourneau, elle est obtenue par fusion. A leur apogée, certains bas fourneaux étaient plus imposants que certains hauts fourneaux !

Améliorant considérablement la productivité et la qualité, les hauts fourneaux au bois n'étaient cependant guère économiques et consommaient en moyenne 200 kg de minerai et 25 stères de bois pour produire seulement 50 kg de fonte. Bien qu'utilisé en tant que complément du bois dans les forges dès le XVIIIème siècle, ce n'est qu'au début du XIXème siècle que le coke est progressivement incorporé dans les hauts fourneaux. Ce dérivé du charbon, d'un excellent rendement thermique, était utilisé à la fois comme combustible et comme agent réducteur. En quelques dizaines années, ces deux qualités lui permettent de supplanter totalement la chauffe au bois et, malgré l'ancienneté du procédé, de survivre jusqu'à nos jours.
 

[Blason Franche-Comté]
Bien que méconnu, voire passé sous silence, la Franche-Comté a pourtant bel et bien joué un rôle notable dans l'histoire sidérurgique française.

Les populations protohistoriques d'abord, puis gallo-romaines ensuite, ont utilisé les minerais de la région dont la fusion dans les bas fourneaux artisanaux était facilitée par la gangue calcaire servant naturellement d'agent réducteur. La fabrication était sommaire et restreinte à des outils usuels et, comme bien souvent, à de l'armement.

En 1296, Étienne de Villars, alors seigneur-abbé de Saint-Oyand (l'actuelle Saint-Claude), écrit dans la charte de Mouthe les quelques lignes retranscrites ci-dessous à propos de l'industrie métallurgique du Jura et du Haut-Doubs.

Aux seigneurs appartiennent les forges, fourneaux, martelleries, affineries, ... avec le droit d'extraire le minerai de fer sur les héritages de la Seigneurie en payant, toutefois, le dommage que la traite occasionnera.
Étienne de Villars
Charte de Mouthe (1296)
Dès 1440, le bassin minier de Montbéliard est exploité pour l'alimentation du bas fourneau d'Audincourt. A la même époque, les mines de fer des villages du Haut-Doubs des Fourgs, de Longeville, de Métabief et d'Oye-et-Pallet alimentent ceux de Pontarlier et de Rochejean. Pontarlier où, au cours du XVIIIème siècle, est installée une fonderie de canons.

L'omniprésence des forêts dans la région et l'existence de plusieurs bassins miniers ferrifères importants dans les départements du Doubs (Bournois, Exincourt, Deluz, Laissey et Rougemontot) et du Jura (Dampierre et Ougney) facilitent l'implantation de hauts fourneaux au bois dès le début du XIXème siècle. Les forges et fonderies se multiplient aux abords des rivières, l'énergie hydraulique étant essentielle à leur fonctionnement :

  • dans le Haut-Doubs à Rochejean, Pontarlier et Pont-de-Roide.
  • dans la Vallée du Doubs à Audincourt, Clerval, L'Isle-sur-le-Doubs et Torpes.
  • dans la Vallée de la Loue à Chenecey et Châtillon-sur-Lison.
  • dans la Vallée de l'Ognon à Loulans, Larians, Montagney et Moncley.
  • dans la plaine du Jura à Fraisans et Rans.
Profitant de cet essor, de nombreuses entreprises de transformation se créent et se spécialisent dans la construction mécanique, la fabrication de casseroles ou d'outillages à main (Montécheroux), ...

L'euphorie sera cependant de courte durée. Dès les années 1850, l'arrivée de la métallurgie au coke remplace progressivement, mais définitivement, la métallurgie au bois. Associée au développement des moyens de communication, elle impacte gravement la rentabilité des mines et des forges franc-comtoises au profit des installations lorraines, notamment celles du bassin ferrifère de Briey, le plus puissant d'Europe à cette époque.

L'exploitation des mines de fer cesse, les dernières fermant vers 1885 à Laissey et à Exincourt. Quant aux hauts fourneaux, ils s'éteignent les uns après les autres en quelques années seulement. De nombreux maîtres de forges sont ruinés, en particulier en Haute-Saône, provoquant la mise en faillite des usines et la mise au chômage de centaines d'ouvriers.


Ironie de l'histoire, les mines de Meurthe-et-Moselle subiront à leur tour dans les années 1960 les assauts d'une nouvelle concurrence, celle des gisements d'outre-mer. Et avec elle, le long chemin de croix de la sidérurgie française...

Au début du XXème siècle, seule une poignée de hauts fourneaux et de fonderies subsiste, notamment à Audincourt avec la Compagnie des Forges d'Audincourt et Dépendances et à Fraisans et à Rans avec la Compagnie des hauts fourneaux et forges de Franche-Comté. Ils ne doivent leur survie que grâce à la capacité de leurs propriétaires d'avoir pu, malgré les difficultés, investir et engager d'importants travaux de modernisation.

Malgré cette déconfiture, l'industrie métallurgique manufacturière s'implante durablement en Franche-Comté et représente, encore aujourd'hui, 62 % des emplois industriels dans des secteurs comme la construction automobile (berceau de Peugeot), les machines-outils, le forgeage, l'usinage, le décolletage, ...

Grâce à ce passé lointain, parfois chaotique, la Franche-Comté est devenue la première région industrielle de France !

Des artisans aux grandes compagnies
Dès le début du XIXème siècle, Laissey compte plusieurs petites mines de fer qui alimentent les hauts fourneaux au bois de la région, notamment celui installé dans l'abbaye de la Grâce-Dieu à Aïssey (en activité entre 1800 et 1840). L'exploitation est très artisanale, peu active et réalisée sans réel cadre juridique.

Il faut attendre l'année 1830 et l'arrivée des frères Auguste et Louis Bouchot, maîtres de forges à Clerval et à L'Isle-sur-le-Doubs, pour qu'une première extraction souterraine d'importance débute. La concession des mines de Laissey (2,34 hectares) et sa mine de "Laissey est" alimentent leurs deux hauts fourneaux de Clerval.

En 1853 et 1854, d'importantes études géologiques sont réalisées et, en 1856, le territoire communal est découpé en lots cédés à différentes compagnies en vue d'améliorer significativement l'extraction du minerai et la productivité ainsi que la collecte des redevances d'exploitation. Avec un gisement estimé entre 14 à 15 millions de tonnes, le plus grand bassin de minerai de fer du département du Doubs est ainsi partagé en trois concessions auxquelles s'ajoute celle de Roulans en 1863 pour une superficie totale de 727,4 hectares. S'étendant à la fois sur la rive gauche et sur la rive droite du Doubs, elles sont scindées en deux parties sensiblement égales :

  • sur la rive gauche (372,4 hectares) :

    • la concession de Laissey : 310,20 hectares.
    • la concession du Jay-Rouge : 62,20 hectares.

  • sur la rive droite (355 hectares) :

    • la concession de Roulans : 276 hectares.
    • la concession de Souvance : 79 hectares.
[Concessions]
Plan des quatre concessions
du bassin minier de Laissey.
À partir du milieu des années 1850, le minerai de fer de Laissey entre progressivement dans la consommation courante des hauts fourneaux francs-comtois de Clerval (Doubs), Chagey (Haute-Saône) et Fraisans (Jura) ainsi que dans celle des grands hauts fourneaux du Creusot (Saône-et-Loire), de Chasse-sur-Rhône et Givors (Rhône), de Firminy, Rive-de-Gier et Terrenoire (Loire).

La ligne ferroviaire de Dijon à Mulhouse nouvellement créée ainsi que le canal du Rhône au Rhin facilitent le transport et l'exportation du minerai laisséen et du village voisin de Deluz hors des frontières régionales. Les exploitations de la rive droite du Doubs sont desservies par un embranchement particulier du P.L.M., ancêtre de la SNCF. La mine de Froide-Oreille (concession de Souvance) bénéficie également de son propre ponton d'accostage dont on voit aujourd'hui encore quelques vestiges. Quant aux mines de la rive gauche, elles sont desservies par un port construit par la Société des fonderies et forges du Creusot à l'embouchure actuelle du Rognon (inexistante à cette époque), dont on devine également encore l'existence.

[Un haut fourneau]
Un haut fourneau au bois
du XIXème siècle.
Un haut fourneau au
bois du XIXème siècle.
En 1855, appartenant à Denis-Auguste Pelletier, la mine de Froide-Oreille approvisionne les hauts fourneaux du Midi de la France et génère un chiffre d'affaires de 7 175 francs.

En 1858, dix-huit ouvriers travaillent dans la mine de "Laissey est" exploitée par Auguste Bouchot. Alimentant essentiellement ses deux hauts fourneaux de Clerval, son chiffre d'affaires est de 18 000 francs.

À partir de 1860, la production s'accroît fortement, bien aidée par les techniques d'exploitation modernes mises en œuvre par les ingénieurs des mines des différentes compagnies. En 1861, 30 000 tonnes de minerai sont extraites dont 3 000 tonnes pour les seules fonderies de Clerval. En 1862, soixante-dix ouvriers travaillent aux mines de "Laissey est" et du Jay-Rouge. En 1865, quarante manœuvres retirent de la mine de Froide-Oreille 17 650 tonnes valant 65 160 francs. L'euphorie sera cependant de courte durée...

Le déclin
En quelques années seulement, le déclin des mines de fer de Laissey s'amorce. La qualité du minerai et la main d'œuvre peu onéreuse ne compensent malheureusement pas les coûts de transport et le rendement à la tonne dans un haut fourneau de 25 % en moyenne contre 30 à 34 % habituellement pour la minette lorraine. Ainsi, la production de la mine de "Laissey est", rachetée par La Société des fonderies et forges du Creusot, chute rapidement :
  • 1862 : 12 544 tonnes ;
  • 1863 : 18 985 tonnes ;
  • 1864 : 16 938 tonnes ;
  • 1865 : 5 289 tonnes ;
  • 1866 : cessation de son exploitation par la compagnie, le gisement étant épuisé.
Quant à la mine de Froide-Oreille, le scénario est identique : de 19 114 tonnes en 1861, la production tombe à 1 788 tonnes en 1864.

En 1872, c'est au tour de la mine de Jay-Rouge d'être abandonnée par La Société des fonderies et forges du Creusot (filiale de Schneider et compagnie). Pourtant acquise en 1866, la mine est jugée peu rentable malgré les lourds investissements réalisés par ses ingénieurs pour faciliter son exploitation et améliorer sa productivité.

[Entrée mine de Roulans]
L'entrée de la mine
de Roulans.
Malgré l'abandon du bassin minier de la rive gauche par les grandes compagnies, l'extraction du minerai de la rive droite continue d'être poursuivie par de petites entités locales aux méthodes plus artisanales, mais également moins coûteuses, garantissant un coût d'exploitation attractif. Indépendamment des quantités fournies au Creusot, ce sont plus de 200 000 tonnes de minerai qui sont livrés jusqu'en 1885 aux différents hauts fourneaux précédemment mentionnés.

Le 25 juillet 1887, les quatre concessions de Laissey, du Jay-Rouge, de Souvance et de Roulans sont réunies par décret présidentiel et attribuées à Jean-François Sarrazin et Lucien Besson. Cette même année, le 22 juin, la commune de Laissey gagne un procès esté contre la Société des fonderies et forges du Creusot. Bien que n'exploitant plus aucune mine à Laissey depuis 1872, l'entreprise possède toujours deux concessions juridiquement valides. Par conséquent, elle est reconnue comme toujours redevable des taxes annuelles d'exploitation.

En 1894, un projet de construction d'un haut fourneau à Laissey est évoqué, dernier baroud d'honneur pour résister à la concurrence féroce de la fonte produite en Meurthe-et-Moselle, notamment en provenance du bassin ferrifère de Briey, le plus puissant d'Europe à cette époque. La métallurgie au coke (fonte du minerai de fer avec du charbon) supplantant définitivement la métallurgie au bois, cette nouvelle technique de production impacte gravement la rentabilité des mines de fer de Laissey et, plus globalement, toutes celles de Franche-Comté.

Ainsi, l'étude Notice sur les mines de fer de Laissey (Doubs) : projet d'établissement de haut fourneau donnait les prix de revient suivants en sortie d'usine pour une tonne de fonte de moulage produite localement (sous réserve de la construction d'un tel équipement à Laissey) :

production
à Laissey
production en
Meurthe-et-Moselle
rendement du minerai 25 % 30 %
coût du minerai 6,00 frs 10,00 frs
coût du coke pour alimenter le haut fourneau 35,52 frs 25,05 frs
frais de fabrication 7,15 frs 6,25 frs
prélèvements obligatoires 2,41 frs 2,10 frs
totaux 51,08 frs 43,40 frs
Malgré des frais d'extraction réduits à 1,50 francs la tonne au lieu de 3 francs, avec une différence finale de 7,68 francs en faveur de la fonte produite en Meurthe-et-Moselle, la construction d'un haut fourneau à Laissey n'était pas envisageable. Le coke devant en plus être importé, l'investissement de 2 millions de francs eut été très difficilement rentabilisé. La production lorraine ayant tout pour elle (meilleur rendement, mines de fer et de charbon locales et présence d'une industrie sidérurgique forte), le déclin des mines de Laissey devenait irrémédiable.

Et, en 1896, devant également faire à face à des soucis administratifs concernant le montant de la redevance à reverser à la commune de Laissey pour les différentes concessions (200 francs / an même si les mines ne sont pas exploitées selon le Décret royal du 9 septembre 1842), Jean-François Sarrazin jette l'éponge et met un terme définitif à l'extraction de minerai de fer du bassin de Laissey. Il décède le 4 juillet 1900 à l'âge de 72 ans. Son fils Paul, diplômé de l'École nationale supérieure des mines de Saint-Étienne, doit abandonner ce métier avant même de l'avoir commencé et rejoint l'administration centrale du P.L.M. à Paris. Les quelques rares fidèles ouvriers retrouvent du travail dans l'entreprise de fabrication de pinces nouvellement créée au village, Bost Frères.

[Mont Souvance]
Le mont Souvance et la mine
de Froide-Oreille (début
des années 1900).
Si l'exploitation des mines de la rive gauche du Doubs était en sommeil depuis 1866 pour la mine de "Laissey est" et depuis 1872 pour celle de Jay-Rouge, il semble qu'il en fut également de même à partir des années 1870 pour celles de la rive droite. Seule la mine de Froide-Oreille, qui fut la plus durable de Franche-Comté et la dernière en activité dans la région, fournissait encore du minerai de fer à quelques hauts fourneaux locaux. Mais, la production était au ralenti voire inexistante à partir de 1885.

En 1945, suite à la nationalisation des Forges de Franche-Comté, les quatre concessions sont attribuées à Électricité de France (EDF), les familles Besson, Sarrazin et Thiébaut en restent malgré tout les propriétaires. Cette situation ubuesque valut une bataille juridique entre ces familles et EDF afin de contraindre cette dernière à prendre en charge la mise en sécurité des sites comme elle s'y était engagée.

[Arrêté préfectoral]
L'entrée de la mine
de "Laissey est".
En avril 1988, un arrêté du Ministre de l'industrie, des PTT et du tourisme entérine une situation de fait en mettant fin aux quatre concessions de Laissey, du Jay-Rouge, de Souvance et de Roulans mettant ainsi un terme à plus de quatre-vingt dix années d'inactivité. Elles sont replacées dans la situation de gisements dits ouverts aux recherches.

Aujourd'hui, les accès aux mines de fer sont murés ou condamnés par des grilles de protection. En effet, de nombreuses chauves-souris y ayant trouvée refuge, l'arrêté préfectoral de protection de biotope DADUE/4B/n° 5024 du 13 octobre 1988 interdit toutes actions ou tous travaux pouvant porter atteinte à la tranquillité et à la survie des chiroptères.

L'accès aux parties souterraines des mines est strictement réservé aux archéologues titulaires d'une autorisation délivrée par le Ministre de la culture et aux naturalistes ou scientifiques munis d'une autorisation délivrée par le Secrétaire d'État chargé de l'environnement.

La légende de la tour Eiffel
La légende raconte que du minerai de Laissey entra dans la composition du fer puddlé des poutrelles qui servirent à bâtir la tour Eiffel ! Mais, est-ce vraiment une légende ?

Au début de l'année 1887, les forges Dupont et Fould de Pompey (Lorraine) remportèrent le contrat avec les ateliers Eiffel. Elles s'approvisionnèrent auprès des mines de Ludres (Lorraine) qui, avec 7 000 tonnes, fournirent l'essentiel du minerai de fer consommé. Mais, pour les aider à honorer cette grosse commande, Dupont et Fould durent faire appel aux forges Munier à Frouard (Lorraine), mais également à celles du Creusot et de Fraisans (Jura).

Les forges de Fraisans produisirent 2 200 tonnes de poutrelles pour la construction du premier étage de la tour. Elles furent acheminées à l'aide de onze péniches via Dole, Dijon puis Paris en octobre ou novembre 1887 jusqu'au pont d'Iéna où elles furent déchargées au pied du chantier.

Sachant que la mine de Froide-Oreille, la dernière en activité au village à cette époque, fournissait ce lieu de production et que le minerai laisséen était considéré comme de très bonne qualité, il se peut qu'il soit entré dans la consommation des hauts fourneaux fraisanois. A contrario, dès 1885, la production était quasiment à l'arrêt. Cependant, rien ne dit qu'un dernier effort ne fut pas fait pour honorer cette commande prestigieuse. Le mystère demeure donc entier...

[La tour Eiffel]
Plaque commémorative rivée au pied
de l'un des piliers de la tour Eiffel
(25 juillet 2008).
L'impact démographique sur le village
L'exploitation des mines de fer attira de nombreux ouvriers des environs, mais également d'autres régions françaises voire étrangères avec l'arrivée d'une forte communauté italienne et des familles Auberto, Colombo, Drovetto, Giacomo, Giono, Marchiano, Scarduelli et Siberario.

L'un de ces travailleurs les plus célèbres est Antoine Bost qui quitta son village natal de Saint-Just-de-Baffie (Puy-de-Dôme) à la fin des années 1850 pour s'installer à Laissey. Manœuvre puis contremaître, il se maria le 2 janvier 1860 avec Zoïle Courtot de Clerval, certainement rencontrée dans le cadre de son métier. L'un de leurs dix enfants n'est autre que Élisée Bost qui, avec trois de ses frères, fondèrent en 1891 la société Bost, fabricant mondialement connu de pinces et de tenailles qui fit la renommée et la prospérité de Laissey. [Évolution démographique] En ajoutant les besoins en mains d'œuvre dus à la construction concomitante de la ligne de chemin de fer de Dijon à Mulhouse, la population de Laissey s'accrût de 117 personnes entre les recensements de 1841 et de 1861 et passa de 153 à 270 habitants, soit 76 % d'augmentation en vingt ans ! Mais, l'arrêt de l'exploitation de la concession de Laissey en 1866 puis de celle du Jay-Rouge en 1872 par la Société des fonderies et forges du Creusot annoncèrent le déclin des mines. Conjugué à la fin des travaux ferroviaires, le village perdit 51 personnes entre onze ans et sa population chuta à 219 habitants en 1872.

Pour héberger tous ces nouveaux ouvriers et face à un manque cruel de logements, la compagnie creusotine construisit en 1867 une petite cité ouvrière de six maisons, chacune comprenant quatre logements de deux pièces. Elles existent toujours aux numéros 40, 42, 46, 50, 52 et 54 de la Grande Rue actuelle dont l'ancienne poste qui abrite aujourd'hui le Musée Bost et de l'outil.

Le 18 mai 1886, Schneider et compagnie les revendit par adjudication à des particuliers pour un prix moyen de 1 300 francs payable en quatre mensualités annuelles à un taux d'intérêt de 5 %. Pour garantir le remboursement de ce prêt, les acheteurs furent obligés d'assurer leurs maisons, pratique peu courante à l'époque. Le puits était commun pour les habitations des lots numéros 3, 4, 5 et 6 et ses frais d'entretien étaient à partager entre les quatre propriétaires. Le sixième lot sera acquis par Auguste Devillers.

[L'ancienne cité minière]
L'ancienne cité minière construite en 1867 le long de la Grande Rue actuelle
(16 juin 2013).
Ci-dessous, une liste non exhaustive des mineurs et des "mineuses" ayant participé à l'exploitation du bassin ferrifère de Laissey. Le plus ancien fut recensé en 1814 et le dernier en 1896.

La période de recensement correspond aux dates pour lesquelles un ou plusieurs actes d'état civil ont été enregistrés (mariage, décès ou naissance d'un enfant). Par conséquent, les mineurs ne sont pas tous répertoriés, car certains d'entre eux ne se sont pas mariés ou ne sont pas décédés à Laissey ou ils n'ont pas eu d'enfants nés au village. D'autre part, la profession n'est malheureusement pas toujours renseignée dans le registre d'état civil de la commune. Ainsi, de nombreuses personnes mentionnées comme journalier devaient certainement être embauchées à la journée ou à la semaine aux mines.

nom période de
recensement
remarques
AUBERTO Antoine 1858 et
1861 à 1863
 
BERTHIER François 1866 employé aux mines du Creusot
BOILOT
Claude François
1855 à 1867 né le 23/09/1829 à Laissey et décédé le 30/01/1908 à Deluz ; 
époux de Jeanne Louise Boilot (mariés le 14/11/1854)
BOILOT
Jeanne Louise
1855 et 1867 née Palantin le 03/02/1835 à Laissey et décédée le 13/03/1906 à Laissey ; 
épouse de Claude François Boilot
 
La seule femme travaillant aux mines ?
BOST Antoine 1861 et 1879 né le 22/04/1838 à Saint-Just-de-Baffie(Puy-de-Dôme) et décédé le 08/02/1911 à Laissey
 
chef mineurs à partir de 1872 ; père d'Élisée Bost, le fondateur de la société Bost
BOVE FORGIOT
Pierre Jean Baptiste
1857 et 1859 né le 11/03/1827 (région du Piémont, Italie)
 
chef mineurs
COLOMBO Jean Marie 1861  
CORROTTE Auguste 1861 né le 30/05/1830 à Laissey et décédé le 22/03/1881 à Laissey
CORROTTE Jean François 1862 né le 20/06/1833 à Laissey
CORROTTE
Nicolas Isidore
1862 né le 18/04/1834 à Laissey et décédé le 29/10/1911 à Laissey
DOUCOT Jean Claude 1864 né le 09/01/1834 à Baume-les-Dames
DROVETTO
Joseph Marie Martin
1863 né le 13/07/1827 à Oglianico (Piémont, Italie)
FLORIOT Antoine 1858 à 1866 de son vrai nom FIORIO, né vers 1830 (région du Piémont, Italie)
GIACOMO Louis 1866 employé au mines du Creusot
GIONO J.B. Barthelemi 1859  
JOURNE ou JOURNET
Jacques
1863 né à Duminiac, commune d'Allègre (Haute-Loire)
MARCHANDET Henri 1864 né le 02/08/1839 à Maco (Haute-Savoie)
MARCHIANO Pierre 1861  
MICHEL Lazare 1862  
PALANTIN
François Victor
1867 né le 19/11/1836 à Corcelle-Mieslot (Doubs) et décédé le 15/07/1867 à Laissey
PERCEVALLE Claude 1863  
PONCOT Célestin 1864  
ROBERT Jacques 1814 le plus ancien mineur recensé
ROBERT
Désiré Constant
1876 né le 24/04/1842 à Laissey et décédé le 01/07/1898 à Laissey
 
chef mineurs
SCARDUELLI
Céleste Antoine
1894 à 1896 le dernier mineur recensé
SIBERARIO Dominique 1858  
TRAMUS Joseph 1863  
L'étude géologique du bassin minier
Le bassin minier ferrifère laisséen est l'un des plus importants de Franche-Comté. Des analyses chimiques ont démontré qu'il s'étend bien au-delà des frontières de la commune, vers l'est en direction de Aïssey et vers le nord en direction du Val-de-Roulans et ce jusqu'aux gîtes des collines préjurassiennes du Val de l'Ognon.

La couche de minerai de fer hydroxydé oolithique en roche renferme très peu de fossiles et présente une épaisseur utile de trois à quatre mètres à Laissey, Deluz et Rougemontot, mais elle s'atténue au fur et à mesure que l'on s'approche de la Haute-Saône avec seulement 0,45 mètre à Bournois. Cette réduction de puissance s'explique par celle du terrain jurassique où la couche de fer repose directement sur les marnes du lias.


Oolithique : agglomération de très petits grains arrondis qui ressemblent à des œufs de poisson.

En ce qui concerne la région de Laissey, la couche de fer est déposée dans un massif rocheux brisé en deux parties par les convulsions géologiques ayant donné naissance à l'étroite Vallée du Doubs. Elle s'appuie sur un banc de calcaire à entroques du premier étage jurassique d'une douzaine de mètres d'épaisseur.

Cette fracture s'explique par la présence d'une faille née de deux déplacements, l'un de glissement et l'autre de rotation, et qui ont eu pour effet d'affaisser les strates de la rive droite du Doubs d'une hauteur de 150 mètres. Cette faille va se perdre au sud de Fourg, dans la forêt de Chaux, passe par Byans, Vorges-les-Pins, Busy, Larnod, Beure, Morre, Montfaucon, Vaire-Arcier, Deluz, Baume-les-Dames et paraît se terminer vers Hyèvre-Paroisse. Elle sert également de véhicule aux eaux des sources d'Arcier qui étaient acheminées dès l'époque romaine par un aqueduc jusqu'à la ville de Vesontio (Besançon).

[Coupe du district ferrifere]
Coupe du district ferrifère du village de Laissey qui met en évidence la fracture
de la couche de fer entre les deux rives du Doubs (échelle 1/25 000 environ).
Coupe du district ferrifère du village de Laissey qui met en évidence la fracture de la couche de fer entre les deux rives du Doubs (échelle 1/25 000 environ).
J3 : Bathonien, troisième étage du Jurassique moyen (calcaire oolithique)
J2 : Bajocien, deuxième étage du Jurassique moyen (calcaire oolithique ferrugineux)
Fe : couche de minerai de fer
l4 : Toarcien, quatrième et dernier étage du Jurassique inférieur (calcaires à entroques et marnes)
l3 : Pliensbachien, troisième étage stratigraphique du Jurassique inférieur (marnes)
l2 : Sinémurien, deuxième étage du Jurassique inférieur (calcaires argileux et marnes)
a2 : alluvions (sables fins argileux, limons argileux et marnes peu plastiques)


Il en résulte que, sur la rive droite du Doubs (concessions de Souvance et de Roulans), la couche de fer est inclinée de 25 à 30 degrés par rapport à l'horizontal et même de 50 à 55 degrés dans le cas de la mine de Froide-Oreille et dans un sens particulièrement favorable à son exploitation.

A contrario, sur la rive gauche (concessions du Jay-Rouge et de Laissey), son inclinaison n'est que de 15 à 16 degrés et dans un sens défavorable. De fait, afin d'améliorer la productivité de la mine de Jay-Rouge en centralisant l'ensemble des sorties de minerai pour faciliter leur embarquement, d'importants travaux furent réalisés dans les années 1860 par la Société des fonderies et forges du Creusot avec le percement d'une galerie de roulage, toujours visible à côté de la cascade du Rognon, et d'une bure reliant le travers-banc à la mine.

[Bancs de minerai]
Détail des bancs de minerai
(coupe suivant la ligne A-B du plan
des concessions du chapitre 1).
Vers les années 1890, deux ingénieurs du Corps des mines, Henri Résal et Marcel Peschart d'Ambly, et un professeur de géologie à la Faculté des sciences de Besançon, Alexandre Vézian, tentèrent de déterminer la quantité théorique que pouvait encore produire le bassin minier à Laissey. D'après leurs estimations, 1 620 000 tonnes de minerai pouvaient encore être extraits de la seule concession de Souvance (79 hectares) et ce en ne supposant l'enlèvement que d'une moitié de la couche sur une étendue réduite à 40 hectares et sans tenir compte ni du pendage ni du dépilage par le feu, techniques d'exploitation habituellement utilisées à l'époque.

Sachant que les trois autres concessions ont huit fois l'étendue utile de celle de Souvance et qu'elles présentent une couche identique en puissance, régularité et richesse, les quatre concessions réunies pouvaient théoriquement encore produire 14 580 000 tonnes de minerai, hypothèse la plus basse.

En utilisant des méthodes d'exploitation telles que le boisage, l'épuisement, le pendage et ou le dépilage par le feu, la quantité disponible pouvait être doublée, soit de 28 à 30 millions de tonnes, les extractions antérieures étant considérées comme négligeables.

La composition chimique des minerais de Laissey
D'un poids moyen de 1 600 kilogrammes le mètre cube, les minerais de Laissey peuvent être classés en trois grandes familles de dureté : tendre, moyen et dur, les deux premières étant largement dominantes.

L'étude Statistique géologique, minéralogique et minéralurgique des départements du Doubs et du Jura d'Henri Résal en donne les analyses suivantes effectuées par M. Minary :

composé chimique minerai tendre minerai de
dureté moyenne
minerai dur
silice 0,225 0,141 0,091
silicate d'alumine 0,045 0,029 0,014
alumine soluble 0,020 0,015 0,011
sesquioxyde de fer 0,469
(fer 0,328)
0,399
(fer 0,279)
0,359
(fer 0,2625)
acide carbonique 0,095 0,157 0,207
acide phosphorique 0,000 0,000 0,000
chaux 0,120 0,201 0,264
eau et perte 0,026 0,058 0,054
totaux 1,000 1,000 1,000
Étant données leurs faibles teneurs en phosphore, les minerais de Laissey étaient considérés comme de bonne qualité et convenaient parfaitement à la fabrication des fontes de moulage. En effet, celles fabriquées à partir des gisements laisséens ne contenaient que 1 % de cet élément chimique alors que celles de Nancy en renfermaient 1,4 % et celles de Longwy jusqu'à 2 %. Cette qualité suffisait en 1894 à assurer une plus-value de cinq à six francs par tonne produite et ne nécessitait pas de procéder à sa déphosphoration. Mieux encore, il pouvait entrer dans la charge d'un haut fourneau au coke dans une proportion de 4/5, le restant étant formé de minerais siliceux et alumineux. Il évitait ainsi l'emploi de la castine.

Castine : pierre calcaire utilisée en fonderie de fonte comme fondant et comme épurateur pour le minerai de fer.

Seul véritable inconvénient, les minerais de Laissey ne rendaient que 25 % en moyenne dans un haut fourneau contre 30 à 34 % pour ceux de Meurthe-et-Moselle. Pour obtenir une tonne de fonte de moulage en 1894, les prix de revient en sortie d'usine étaient les suivants :
minerai de
Laissey
minerai de
Meurthe-et-Moselle
rendement du minerai
dans un haut fourneau
25 % 30 % 34 %
quantité de minerai pour
une tonne de fonte produite
4 tonnes 3,3 tonnes 2,9 tonnes
quantité de coke pour
alimenter le haut fourneau
1430 kg 1250 kg 1075 kg
prix de revient 51,08 frs 43,40 frs 38,14 frs
Avec une différence minimale de 7,68 francs la tonne en faveur de la fonte produite en Meurthe-et-Moselle, le déclin des mines de Laissey était inéluctable. D'autant plus que la production lorraine avait tout pour elle : meilleurs rendements, mines de fer et de charbon locales et présence d'une industrie sidérurgique forte. Cependant, dès les années 1960, elle subira à son tour les assauts d'une nouvelle concurrence, celle des gisements d'outre-mer qui rendent 60 % en moyenne dans un haut fourneau et sont moins riches en phosphore et en arsenic. Et avec elle, le long chemin de croix de la sidérurgie française...
La concession de Laissey et la mine de "Laissey est"
Dès le début du XIXème siècle et bien avant la création de la concession de Laissey en 1830, le lieu était déjà fréquenté par quelques pauvres bougres qui remplissaient des paniers de minerai pour alimenter les petits hauts fourneaux au bois de la région, notamment celui installé dans l'abbaye de la Grâce-Dieu à Aïssey (en activité entre 1800 et 1840).

L'arrivée en 1830 des frères Auguste et Louis Bouchot, maîtres de forges à Clerval et à L'Isle-sur-le-Doubs, fit naître une réelle exploitation industrielle et commerciale du bassin minier laisséen avec la première extraction souterraine et l'ouverture de la mine de "Laissey est" qui alimentait leurs deux hauts fourneaux de Clerval.

Forte de nombreuses extensions successives (de 2,34 hectares au départ à 310,20 hectares au final), la plus ancienne et la plus importante concession du village connut quatre propriétaires et fut définitivement abandonnée en 1866.

Fait singulier, le 22 juin 1887, la commune de Laissey gagna un procès esté contre la Société des fonderies et forges du Creusot (filiale de Schneider et compagnie). Bien que n'exploitant plus les concessions de Laissey et du Jay-Rouge depuis respectivement les années 1866 et 1872, l'entreprise en était toujours légalement la propriétaire. Par conséquent, elle fut reconnue comme redevable des taxes annuelles d'exploitation non versées depuis 1867.

Concession de Laissey
date de création
traité du 1er juin 1830
 
[Concession de Laissey]
Cliquez pour agrandir
la carte.
date d'abandon
1866
 
date de résiliation
arrêté du Ministre de l'industrie, des PTT et du tourisme d'avril 1988
 
localisation
sur la rive gauche du Doubs, sur les communes de Laissey et de Champlive
 
superficie
310,20 hectares
 
mine exploitée
mine de "Laissey est"
 
Exploitants
avant 1830
pas de réelle exploitation commerciale, mais quelques pauvres bougres remplissant des paniers de minerai à ciel ouvert
 
traité du
1er juin 1830

les frères Auguste et Louis Bouchot, maîtres de forges à Clerval et à L'Isle-sur-le-Doubs, contre une redevance annuelle d'exploitation de 250 francs
 
ordonnance royale
du 9 septembre 1842
  • les frères Bouchot contre une redevance d'exploitation de 70 francs par mètre cube extrait.
  • superficie de la concession : 2,34 hectares.
15 septembre 1847
les frères Bouchot introduisent une demande en extension de la concession à 10 hectares malgré l'avis défavorable de la commune de Laissey
 
novembre 1851
les frères Bouchot renoncent à leur demande de 1847 et souhaite une extension de la concession non plus sur le territoire de Laissey, mais sur celui de Champlive
 
décret impérial
du 26 novembre 1853

extension de la superficie de la concession accordée à Auguste Bouchot
 
décret impérial
du 19  août 1856
  • Auguste Bouchot.
  • superficie de la concession : 24,22 hectares.
année 1859
le dernier des frères Bouchot décède sans successeur et la Compagnie des forges d'Audincourt reprend ses hauts fourneaux de Clerval ainsi que la concession
 
9 juillet 1860
la Société des fonderies et forges du Creusot, filiale de Schneider et compagnie, rachète la concession aux forges d'Audincourt pour un montant de 35 000 francs pour seconder ses mines de Mazenay-Change
 
décret impérial
du 22 juillet 1863

Société des fonderies et forges du Creusot avec une autorisation d'extension sur les communes de Laissey et de Champlive
 
1866
le gisement de la mine de "Laissey est" étant épuisé, la Société des fonderies et forges du Creusot cesse l'exploitation de la concession et rachète à la Compagnie des forges d'Audincourt celle du Jay-Rouge
 
mai 1886
Jean-François Sarrazin et Lucien Besson rachètent à la Société des fonderies et forges du Creusot les concessions de Laissey et du Jay-Rouge
 
décret présidentiel
du 25 juillet 1887

Jean-François Sarrazin et Lucien Besson
 
1896
suite à des soucis concernant le montant de la redevance à reverser à la commune de Laissey, Jean-François Sarrazin et Lucien Besson souhaitent renoncer à leurs droits sur la concession
 
4 juillet 1900
décès de Jean-François Sarrazin à l'âge de 72 ans
 
1945
Électricité de France (EDF), les familles Besson, Sarrazin et Thiébaut en restant malgré tout les propriétaires (nationalisation des Forges de Franche-Comté)
 
avril 1988
fin de la concession par arrêté du Ministre de l'industrie, des PTT et du tourisme (replacée dans la situation d'un gisement dit ouvert aux recherches)
 
Première exploitation commerciale et souterraine du bassin minier laisséen, la mine de "Laissey est" fut creusée en 1830 et connut une période d'activité assez longue jusqu'à son abandon en 1866, le gisement étant épuisé.

En 1858, dix-huit ouvriers y travaillaient pour un chiffre d'affaires généré de 18 000 francs.

Mine de "Laissey est"
période d'activité
de fin 1830 à 1866
 
localisation
sous le château de Vaîte
 
superficie
0,02 hectare
 
altitude
entrée située à 38 mètres
 
inclinaison de la couche
de minerai

16 degrés par rapport à l'horizontal dans un sens défavorable à son exploitation
 
technique d'extraction
une galerie principale et dix-sept galeries d'allongement perpendiculaires à sa gauche et seize à sa droite
 
haut fourneaux
approvisionnés

Aïssey (Doubs), Clerval (Doubs) et Le Creusot (Saône-et-Loire)
 
production totale
  • de 1830 à 1861 : inconnue.
  • 1862 : 12 544 tonnes valant 47 000 francs.
  • 1863 : 18 985 tonnes.
  • 1864 : 16 938 tonnes.
  • 1865 : 5 289 tonnes.
  • 1866 : cessation de son exploitation, le gisement étant épuisé.
divers
entrée libre d'accès
 
Afin de pallier l'épuisement de la mine de "Laissey est" qui s'annonçait, quelques essais furent menés sur la concession de Laissey pour tester la pertinence d'une éventuelle nouvelle extraction. Visiblement, sans grand succès, aucune autre exploitation n'ayant été ouverte sur le périmètre concerné.
Essai visible depuis la route départementale n° 30
période d'essais
années 1860 ?
 
localisation
le long de la route départementale n° 30 menant à Champlive, vers le grand tunnel
 
superficie
cavité longue de deux ou trois mètres
 
inclinaison de la couche
de minerai

certainement identique à celle de la mine de "Laissey est" (16 degrés)
 
divers
entrée condamnée par un mur en parpaings
 
La concession du Jay-Rouge et la mine de Jay-Rouge
La concession du Jay-Rouge fut la plus petite du bassin minier laisséen et semble n'avoir été créée en 1856 que dans le but d'exploiter la mine éponyme du Jay-Rouge. Elle eut la particularité d'avoir été la propriété d'une grande compagnie extérieure à la région, la Société des fonderies et forges du Creusot, une filiale de Schneider et compagnie, un géant sidérurgique à l'époque.

Faute d'une rentabilité suffisante, elle fut abandonnée en 1872 et ce malgré d'importants travaux de modernisation réalisés en 1866 par la compagnie du Creusot.

Fait singulier, le 22 juin 1887, la commune de Laissey gagna un procès esté contre ladite Société des fonderies et forges du Creusot. Bien que n'exploitant plus les concessions de Laissey et du Jay-Rouge depuis respectivement les années 1866 et 1872, l'entreprise en était toujours légalement la propriétaire. Par conséquent, elle fut reconnue comme redevable des taxes annuelles d'exploitation non versées depuis 1873.

Concession du Jay-Rouge
date de création
décret impérial du 19 août 1856
 
[Concession du Jay-Rouge]
Cliquez pour agrandir
la carte.
date d'abandon
1872
 
date de résiliation
arrêté du Ministre de l'industrie, des PTT et du tourisme d'avril 1988
 
localisation
sur la rive gauche du Doubs, sur la commune de Laissey
 
superficie
62,20 hectares
 
mine exploitée
mine de Jay-Rouge
 
Exploitants
décret impérial
du 19 août 1856

Compagnie des forges d'Audincourt
 
9 juillet 1860
Compagnie des forges d'Audincourt
 
décret impérial
du 22 juillet 1863

Compagnie des forges d'Audincourt
 
1866
le gisement de la mine de "Laissey est" étant épuisé, la Société des fonderies et forges du Creusot (filiale de Schneider et compagnie) rachète à la Compagnie des forges d'Audincourt la concession et entreprend de grands travaux de modernisation
 
1872
la jugeant peu rentable, la Société des fonderies et forges du Creusot cesse l'exploitation de la concession malgré les lourds investissements réalisés en 1866
 
mai 1886
Jean-François Sarrazin et Lucien Besson rachètent à la Société des fonderies et forges du Creusot les concessions de Laissey et du Jay-Rouge
 
décret présidentiel
du 25 juillet 1887

Jean-François Sarrazin et Lucien Besson
 
4 juillet 1900
décès de Jean-François Sarrazin à l'âge de 72 ans
 
1945
Électricité de France (EDF), les familles Besson, Sarrazin et Thiébaut en restant malgré tout les propriétaires (nationalisation des Forges de Franche-Comté)
 
avril 1988
fin de la concession par arrêté du Ministre de l'industrie, des PTT et du tourisme (replacée dans la situation d'un gisement dit ouvert aux recherches)
 
La mine de Jay-Rouge fut la seule du bassin minier laisséen à avoir bénéficié d'une grande attention pour assurer son exploitation dans les meilleures conditions en vigueur à l'époque. Ainsi, dès son rachat en 1866 par la Société des fonderies et forges du Creusot pour seconder ses mines de Mazenay-Change, ses ingénieurs lancèrent de grands travaux dans le but d'améliorer significativement la productivité du gisement avec le percement d'une galerie de roulage, toujours visible à côté de la cascade du Rognon, et d'une bure reliant la mine au travers-banc. Toutes les sorties étant centralisées, le minerai de fer était alors évacué jusqu'à un port d'embarquement, nouvellement construit également, et chargé sur des péniches en direction du Creusot par le canal du Rhône au Rhin.

Malgré les coûteux aménagements effectués, la mine de Jay-Rouge fut jugée peu rentable et abandonnée six ans plus tard, en 1872.

Mine de Jay-Rouge
période d'activité
de fin 1856 à 1872
 
localisation de la mine
à gauche de la sortie de la seconde galerie du Rognon évacuant les eaux du Gour
 
localisation de
la galerie de roulage

à gauche de la cascade du Rognon
 
superficie
0,02 hectare
 
altitude
entrée située à 316 mètres
 
inclinaison de la couche
de minerai

16 degrés par rapport à l'horizontal dans un sens défavorable à son exploitation
 
technique d'extraction
  • véritable labyrinthe creusé dans le versant de la montagne de part et d'autre de la galerie d'entrée selon la méthode des chambres et des piliers.
  • minerai évacué de la mine à l'aide d'une bure et d'une galerie de roulage pour être chargé sur des péniches.
haut fourneaux
approvisionnés

Audincourt (Doubs) et Le Creusot (Saône-et-Loire)
 
production totale
inconnue
 
divers mine
  • entrée partiellement condamnée par un mur en parpaings.
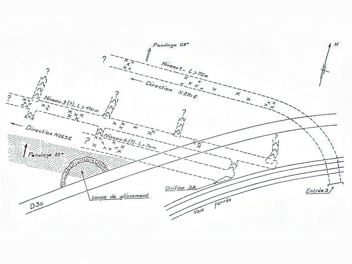
  • accès désormais difficile et dangereux suite aux nombreux glissements de terrain survenus dans les années 1990.
  • fond de la mine inondé lors de fortes pluies par des infiltrations issues de la falaise. L'eau s'évacue par la bouche d'aération de la mine située juste au-dessus de la sortie de la seconde galerie d'évacuation des eaux du Gour.
divers galerie
de roulage
  • entrée partiellement condamnée par un mur en parpaings.
  • visite fortement déconseillée du fait d'un air vicié à cause de l'absence d'aérage. La bure étant bouchée par des madriers jetés à la hâte, l'air ne circule plus entre la mine et ce travers-banc.
La concession de Souvance et les mines de Froide-Oreille et d'Aigremont
Bien que de taille modeste (79 hectares), la concession de Souvance fut la seule du bassin minier laisséen à compter deux exploitations. Grâce à la mine de Froide-Oreille, elle peut se targuer d'avoir été la plus durable de Franche-Comté et l'une des dernières en activité dans la région. Accordée en 1856, elle fut abandonnée quarante ans plus tard, en 1896. Et, surprenant, elle ne connut seulement que deux propriétaires durant cette longue vie.
Concession de Souvance
date de création
décret impérial du 19 août 1856
 
[Concession de Souvance]
Cliquez pour agrandir
la carte.
date d'abandon
1896
 
date de résiliation
arrêté du Ministre de l'industrie, des PTT et du tourisme d'avril 1988
 
localisation
sur la rive droite du Doubs, sur la commune de Laissey
 
superficie
79 hectares
 
mines exploitées
mines de Froide-Oreille et d'Aigremont
 
Exploitants
décret impérial
du 19 août 1856

Denis-Auguste Pelletier
 
9 juillet 1860
Denis-Auguste Pelletier
 
décret impérial
du 22 juillet 1863

Denis-Auguste Pelletier
 
1864
Jean-François Sarrazin et son beau-frère Lucien Besson rachètent la concession
 
1877
Société des mines de Souvance dirigée par Jean-François Sarrazin et Lucien Besson
 
1884
la production décline et seule la mine de Froide-Oreille semble être encore en activité, très réduite au demeurant
 
décret présidentiel
du 25 juillet 1887

Jean-François Sarrazin et Lucien Besson
 
1889
Société Sarrazin fils et compagnie dirigée par Jean-François Sarrazin et Lucien Besson
 
1896
faisant face à la rude concurrence de la minette lorraine, la Société Sarrazin fils et compagnie cesse l'exploitation de la concession mettant un terme définitif à toute activité d'extraction de minerai de fer sur le bassin de Laissey
 
4 juillet 1900
décès de Jean-François Sarrazin à l'âge de 72 ans
 
1945
Électricité de France (EDF), les familles Besson, Sarrazin et Thiébaut en restant malgré tout les propriétaires (nationalisation des Forges de Franche-Comté)
 
avril 1988
fin de la concession par arrêté du Ministre de l'industrie, des PTT et du tourisme (replacée dans la situation d'un gisement dit ouvert aux recherches)
 
La mine de Froide-Oreille fut la plus durable de Franche-Comté et l'une des dernières en activité dans la région. Creusée en 1856, elle fut abandonnée en 1896, soit quarante années plus tard, bien que la production ait été fortement ralentie voire inexistante à partir de 1885 après un regain d'activité au début des années 1880 suite à l'abaissement du prix de vente à 2,75 francs la tonne de minerai. Plus grande exploitation du bassin minier laisséen, forte de 3 500 mètres de galeries souterraines, elle tient très certainement son nom à l'air glacial qui y est ressenti devant l'entrée en hiver, mais rafraîchissant en été !

Elle bénéficiait de deux atouts de taille qui expliquent peut-être sa grande longévité : sa production pouvait être facilement exportée hors des frontières régionales par trains ou par péniches. Ainsi, la galerie n° 1, la plus longue avec près de 600 mètres, débouchait sur un ponton d'accostage sur le canal du Rhône au Rhin, dont les vestiges sont toujours visibles. Quant à la galerie n° 5, elle était raccordée à embranchement particulier du P.L.M., ancêtre de la SNCF.

De fait, les produits des galeries numéros 1 à 4 étaient expédiés par transport fluvial et ceux des galeries numéros 5 à 12 l'étaient par transport ferroviaire.

Enfin, la légende raconte que du minerai de cette mine entra dans la composition du fer puddlé des poutrelles qui servirent à bâtir le premier étage de la tour Eiffel !

Mine de Froide-Oreille
période d'activité
de fin 1856 à 1896
 
localisation
le long de la route départementale n° 30 menant à Roulans, entre l'usine Bost et le passage à niveau
 
superficie
0,02 hectare
 
altitude
entrée située à 275 mètres
 
inclinaison de la couche
de minerai

de 50 à 55 degrés par rapport à l'horizontal dans un sens favorable à son exploitation
 
technique d'extraction
douze galeries d'allongement parallèles sur douze niveaux creusées dans le versant de la montagne et reliées par des cheminées pour une longueur totale d'environ 3 500 mètres
 
haut fourneaux
approvisionnés

Fraisans (Jura), Firminy (Loire) et Givors (Rhône)
 
production totale
  • de 1856 à 1860 : inconnue.
  • 1861 : 19 114 tonnes.
  • 1862 : 17 650 tonnes valant 65 160 francs.
  • 1863 : 14 326 tonnes.
  • 1864 : 1 788 tonnes.
  • de 1865 à 1879 : inconnue.
  • 1880 : 6 000 tonnes.
  • 1881 : 6 000 tonnes.
  • après 1882 : en forte régression voire inexistante.
divers
  • entrée condamnée par deux grilles de protection.
  • doit certainement son nom au fait qu'un air glacial est ressenti devant l'entrée.
  • en juillet 2016, la S.N.C.F. a entrepris des travaux de consolidation de la voûte de la galerie d'entrée en béton projeté.
Difficile de retracer un quelconque historique pour la mine d'Aigremont : elle semble comme oubliée ! Non répertoriée officiellement, les autorités n'ont même pas pris la peine de sécuriser son entrée principale par une grille de protection ou un mur en parpaings comme pour les autres mines. Quant à sa seconde entrée, elle s'est condamnée d'elle-même par un glissement de terrain.

Au vu de son exploitation artisanale et de son très mauvais état de conservation, on peut cependant estimer qu'elle fut creusée vers 1856 par son premier propriétaire, Denis-Auguste Pelletier, et abandonnée en 1864 au profit de la seule mine de Froide-Oreille lors du rachat de la concession par Jean-François Sarrazin et Lucien Besson.

Mine d'Aigremont
période d'activité
de fin 1856 à 1864
 
localisation
  • entrée principale : à côté de l'écluse d'Aigremont située à la sortie du village, côté Deluz.
  • entrée secondaire : sur le chemin qui mène au bas de Tremont.
superficie
inconnue
 
altitude
  • entrée principale située à 265 mètres.
  • entrée secondaire située à 275 mètres.
inclinaison de la couche
de minerai

de 50 à 55 degrés par rapport à l'horizontal dans un sens favorable à son exploitation
 
technique d'extraction
  • X galeries parallèles sur X niveaux creusées dans le versant de la montagne et reliées par des cheminées.
  • minerai des galeries supérieures évacué près de l'entrée secondaire à l'aide d'un couloir de descente à ciel ouvert.
haut fourneaux
approvisionnés

inconnus
 
production totale
inconnue
 
divers
  • entrée principale libre d'accès.
  • entrée secondaire condamnée par un glissement de terrain.
  • mine en mauvais état de conservation dû à une exploitation très artisanale (nombreux affaissements de voûtes des galeries).
La concession de Roulans et la mine de Roulans
La concession de Roulans fut la dernière du bassin minier laisséen à être accordée par l'État en 1863. Connaissant une période d'activité très courte, elle fut abandonnée dès la fin des années 1860, car ses seuls et uniques propriétaires, Jean-François Sarrazin et Lucien Besson, préférèrent concentrer leurs moyens sur la concession de Souvance rachetée en 1864 et, en particulier, sur la mine de Froide-Oreille, autrement plus productive et rémunératrice.
Concession de Roulans
date de création
décret impérial du 22 juillet 1863
 
[Concession de Roulans]
Cliquez pour agrandir
la carte.
date d'abandon
fin des années 1860
 
date de résiliation
arrêté du Ministre de l'industrie, des PTT et du tourisme d'avril 1988
 
localisation
sur la rive droite du Doubs, sur les communes de Laissey et de Roulans
 
superficie
276 hectares
 
mine exploitée
mine de Roulans
 
Exploitants
décret impérial
du 22 juillet 1863

Jean-François Sarrazin et Joseph-Auguste Mercier
 
1877
Société Sarrazin fils et compagnie dirigée par Jean-François Sarrazin et son beau-frère Lucien Besson, ce dernier ayant racheté les parts de Joseph-Auguste Mercier à sa mort
 
décret présidentiel
du 25 juillet 1887

Jean-François Sarrazin et Lucien Besson
 
4 juillet 1900
décès de Jean-François Sarrazin à l'âge de 72 ans
 
1945
Électricité de France (EDF), les familles Besson, Sarrazin et Thiébaut en restant malgré tout les propriétaires (nationalisation des Forges de Franche-Comté)
 
avril 1988
fin de la concession par arrêté du Ministre de l'industrie, des PTT et du tourisme (replacée dans la situation d'un gisement dit ouvert aux recherches)
 
Creusée fin 1863, la mine de Roulans eut une période d'activité de quelques années seulement et fut abandonnée dès la fin des années 1860. Peu satisfaits de la rentabilité du gisement, ses propriétaires, Jean-François Sarrazin et Lucien Besson, préférèrent tout miser sur la mine de Froide-Oreille rachetée en 1864 et qui présentait tous les atouts d'un bien meilleur retour sur investissements à moyen terme.

De plus, la construction de la ligne ferroviaire de Dijon à Mulhouse avait également fortement perturbée son exploitation, la compagnie du P.L.M. s'étant opposée à l'ouverture de cheminées d'aération donnant sur le talus de la voie ferrée.

Mine de Roulans
période d'activité
de fin 1863 à la fin des années 1860
 
localisation
à gauche du terrain de football de Laissey
 
superficie
inconnue
 
altitude
entrée située à 260 mètres
 
inclinaison de la couche
de minerai

de 55 à 62 degrés par rapport à l'horizontal dans un sens favorable à son exploitation
 
technique d'extraction
quatre galeries d'allongement parallèles sur quatre niveaux creusées dans le versant de la montagne
 
haut fourneaux
approvisionnés

Givors (Rhône) et Rive-de-Gier (Loire)
 
production totale
inconnue
 
divers
  • entrée condamnée par une grille de protection.
  • mine en mauvais état de conservation dû à une exploitation très artisanale (nombreux affaissements de voûtes des galeries).
  • en juillet 2016, la S.N.C.F. a entrepris des travaux de nettoyage et de sécurisation de l'entrée de la mine.
Les concessions voisines
Le bassin minier ferrifère laisséen est l'un des plus importants de Franche-Comté. Et, malgré ce que son nom laisse sous-entendre, il s'étend bien au-delà des frontières de la commune, vers l'est en direction de Aïssey et vers le nord en direction du Val-de-Roulans et ce jusqu'aux gîtes des collines préjurassiennes du Val de l'Ognon.

Outre les besoins en main d'œuvre qui donnèrent du travail à de nombreux journaliers des alentours, certaines mines furent exploitées dans des villages proches de Laissey. Ce fut bien évidemment le cas de la concession de Laissey dont la majeure partie de la surface couverte était, en fait, située sur le territoire de Champlive.

Ainsi, à deux kilomètres au sud-ouest de Laissey, une concession de 128 hectares fut accordée sur le village de Deluz à un maître de forges haut-saônois, Pierre-Joseph Ménans.

Concession de Deluz
date de création
décret impérial du 31 mars 1858
 
date d'abandon
1878
 
date de résiliation
décret du 29 mai 1920
 
localisation
sur la rive droite du Doubs, sur les communes de Deluz et de Roulans
 
superficie
128 hectares
 
mine exploitée
mine de Deluz
 
Exploitants
décret impérial du
31 mars 1858

Pierre-Joseph Ménans, maire de Gy (Haute-Saône) et maître de forges
 
date inconnue
Joseph Cochet
 
décret du
29 mai 1920

renonciation de la concession par Joseph Cochet, juge de paix du canton Sud de Besançon
 
Au lieu-dit Sous-Roches, Pierre-Joseph Ménans exploita la mine Deluz pour alimenter ses hauts fourneaux des Forges de Grand-Valay situés à Valay (Haute-Saône). Bien que élevée à ses débuts (27 500 tonnes extraites en 1862 générant un chiffre d'affaires de 102 120 francs), la production diminua très rapidement et la mine fut abandonnée en 1878. A son apogée, elle occupa jusqu'à soixante-dix ouvriers.
Mine de Deluz
période d'activité
de la fin des années 1850 à 1878
 
localisation
le long de la route départementale n° 266 au lieu-dit Sous-Roches, sous les rochers du château Loriot
 
superficie
0,02 hectare
 
altitude
entrée située à 279 mètres
 
inclinaison de la couche
de minerai

inconnue
 
composition chimique
identique aux autres mines du bassin minier ferrifère laisséen
 
technique d'extraction
dix galeries sur plusieurs niveaux creusées selon la méthode des chambres et des piliers
 
haut fourneaux
approvisionnés

Forges de Grand-Valay à Valay (Haute-Saône) puis Chasse-sur-Rhône ou Givors (Rhône) et Rive-de-Gier (Loire)
 
production totale
  • avant 1862 : inconnue.
  • 1862 : 27 500 tonnes valant 102 120 francs.
  • après 1862 : inconnue.
Ci-dessous, la reproduction d'un document rare : une lettre manuscrite écrite le 5 septembre 1870 par Joseph Cochet. Elle concerne l'expédition par voie ferroviaire d'un chargement de 94 tonnes de minerai de la mine de Deluz à la société Ferdinand De La Rochette & Cie à Givors.
[Lettre du 5 septembre 1870]

Deluz 5 septembre 1870

Messieurs F. De La Rochette et Cie à Givors

Ci-joints, j'ai l'honneur de vous remettre 4 récépissés du
chemin de fer du 1 au 4 de septembre et comprennent pour ensemble
12 wagons minerais pesant ensemble 94 tonnes, 570 kilogrammes.
Ci-joints, j'ai l'honneur de vous remettre 4 récépissés du chemin de fer du 1 au 4 de septembre et comprennent pour ensemble 12 wagons minerais pesant ensemble 94 tonnes, 570 kilogrammes.

Agréez, messieurs, mes saluts empressés.

J. Cochet



Quelques kilomètres un peu plus loin, également au sud-ouest de Laissey, des affleurements de minerai furent exploités sur la commune de Vaire-Arcier dès le début du XIXème siècle pour alimenter le petit haut fourneau au bois de la Grâce-Dieu à Aïssey. Puis, par décret impérial du 28 décembre 1864, la concession de Grand-Vaire fut créée et accordée à la Compagnie des hauts fourneaux et forges de Franche-Comté pour approvisionner leurs installations de Fraisans. Guère rentable, elle ne fut exploitée que quelques années seulement.
Concession de Grand-Vaire
date de création
décret impérial du 28 décembre 1864
 
[Concession de Grand-Vaire]
Cliquez pour agrandir
la carte.
date d'abandon
fin des années 1860
 
date de résiliation
décret du 15 avril 1936
 
localisation
sur la rive gauche du Doubs, sur la commune de Vaire-Arcier, dans les bois de la Côte du Mont
 
superficie
330,96 hectares
 
mines exploitées
mines de Grand-Vaire et de la côte de Vaîte
 
haut fourneaux
approvisionnés

Aïssey (Doubs) et Fraisans (Jura)
 
Exploitants
avant 1830
pas de réelle exploitation commerciale, mais quelques pauvres bougres remplissant des paniers de minerai à ciel ouvert
 
décret impérial du
28 décembre 1864

Compagnie des hauts fourneaux et forges de Franche-Comté contre :
  • une redevance annuelle d'exploitation de 0,30 francs par hectare.
  • une rétribution de 0,10 francs par mètre cube extrait.
décret du
15 avril 1936

renonciation de la concession par la Société anonyme des hauts fourneaux, fonderies et forges de Franche-Comté
 
Enfin, plus proche de la Haute-Saône, plusieurs mines ont été exploitées à Avilley, Battenans-les-Mines, Bournois, Gondenans-les-Moulins, Gouhelans, La Tour-de-Sçay, Montussaint, Puessans, Rougemontot, Tallans, Uzelle, Vergranne et Voillans. Elles alimentaient les hauts fourneaux au bois de la Vallée de l'Ognon de Breurey-lès-Faverney, Fallon, Larians, Loulans, Montagney, ... mais également ceux de Clerval. Aucunes de ces exploitations n'eurent l'importance de celles de Laissey : en 1862, seulement 300 tonnes furent extraites à Bournois avec trois ouvriers et 3 372 tonnes à Rougemontot avec l'aide de trente-deux ouvriers.

Il est à noter que s'il existe bien une mine sur la commune voisine d'Ougney-la-Roche, ce n'est pas une mine de fer, mais de gypse, matériau utilisé pour la fabrication du plâtre. Ce fut l'une des vingt-trois carrières de ce type que compta le département du Doubs.

Exploitée dans les années 1840, seule une galerie horizontale d'une centaine de mètres fut creusée dans le sens nord-ouest - sud-est, perpendiculairement à la direction générale de l'affleurement et du cours du Doubs. Très marneux, le gypse extrait n'avait pas une grande valeur marchande et la mine fut rapidement abandonnée.

Une tentative de reprise de l'exploitation fut engagée en 1899 par la Société anonyme des hauts fourneaux, fonderies et forges de Franche-Comté à la demande du propriétaire de l'époque, M. Guyard, dans le but d'exploiter cette fois-ci du lignite, une roche sédimentaire intermédiaire entre la tourbe et la houille et qui est toujours subordonnée au gypse.

Bibliographie et crédits photographiques
  • Annales des mines, cinquième série, tome X (Ministère des travaux publics, 1856).
  • Annuaire du Doubs et de la Franche-Comté (Paul Laurens, 1858).
  • Annales des mines, sixième série, tome III (Ministère des travaux publics, 1863).
  • Itinéraire général de la France, de Paris à la Méditerranée (1863).
  • Statistique géologique, minéralogique et minéralurgique des départements du Doubs et du Jura (Henri Résal, 1864).
  • Jurisprudence générale, recueil périodique et critique, volume de 1888, deuxième partie, Cours d'appel.
  • Notice sur les mines de fer de Laissey (Doubs) : projet d'établissement de haut fourneau (F.S., 1894).
  • Les gîtes minéraux et métallifères et les eaux minérales du département du Doubs (Antoine Merle, 1905).
  • Houille triasique sur le versant nord-ouest du Jura (Robert Dormois et Jean Ricours, 1943).
  • Note sur les mines de fer de la région de Laissey (J. Servant et M. Regard, 1957).
  • Les Forges de Fraisans (Gabriel Pelletier, 2004).
  • La stratégie des Schneider, du marché à la firme intégrée (1836-1914) (Jean-Philippe Passaqui, 2006).
  • Entretiens avec Jean Sarrazin (J.-M. Gautherot, 2010).
  • L'emploi et la formation dans la métallurgie en Franche-Comté (Observatoire de la métallurgie, 2012).
  • Registres du commerce de Laissey (1877, 1889, 1906, 1917, 1921 et 1933).
  • Article du quotidien L'Est Républicain du 5 mai 1988.
  • Bulletins municipaux du village de Laissey.
  • Crédits photographiques :
    • Droits réservés pour les ayants droit non identifiés.
    • Avec l'aimable autorisation de M. Stanislas Thouret pour la photographie du morceau de rail de la mine de Roulans.

 
Dernière mise à jour le 4 janvier 2026